
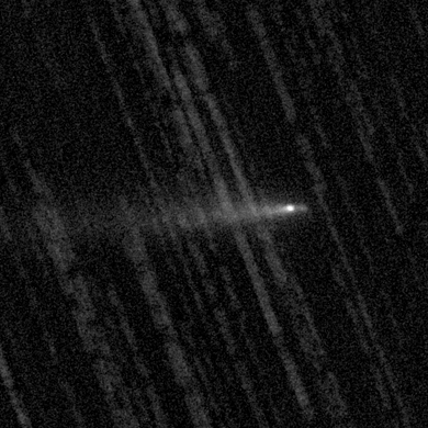
Komet C/2025 K1 (ATLAS) am 11.12.2025, f = 1200 mm, QHY294C, IRB-Filter, 18:00 UT, 01:07 Stunden Belichtungszeit, 70% der Originalauflösung, in zwei Prozessierungsvarianten. Der Komet ist zwischenzeitlich sehr klein und lichtschwach geworden. Im Farbbild erscheint der Schweif weiterhin gelblich, was auf eine Dominanz der Staubkomponente hindeutet. Im geschärften Grauwertbild sind deutlich zwei Fragmente zu erkennen.

Komet C/2025 K1 (ATLAS) am 23.11.2025, f = 1200 mm, QHY294C, IRB-Filter, 01:00 UT, 01:54 Stunden Belichtungszeit, 50%, 100% und 200% der Originalauflösung. Es scheint noch eine dritte Stelle zu geben, an der ein Staubschweif entsteht, aber im Gegensatz zum 22.11.2025 kein punktförmiges Objekt erkennbar ist. Möglicherweise ist dieses Fragment dabei, sich in seine Staub-Bestandteile aufzulösen. Das Farbbild zeigt, dass der gesamte Komet stark von seiner gelblichen Staubcoma und seinem Staubschweif dominiert wird, ohne dass ein Hinweis auf eine grün leuchtende Gascoma vorhanden ist.

Komet C/2025 K1 (ATLAS) am 22.11.2025, f = 1200 mm, QHY294C, IRB-Filter, 00:40 UT, 01:05 Stunden Belichtungszeit, 50%, 100% und 200% der Originalauflösung. Der Kern des Kometen ist in (mindestens) drei Teile zerfallen. Die gelbliche Farbe der Coma und des Schweifs deutet darauf hin, dass der Komet von seiner Staubkomponente dominiert wird, während eine Gaskomponente, die üblicherweise grünlich erscheinen würde, nicht erkennbar ist.

Komet C/2025 K1 (ATLAS) am 18.08.2025, f = 600 mm, QHY294C, IRB-Filter, 50 Minuten Belichtungszeit, 100% der Originalauflösung. Gemäß der JPL Horizons Ephemeris entspricht der Abstand des Kometen zur Erde 0.6 AE, während er 1.26 AE von der Sonne entfernt ist. Seine scheinbare Helligkeit wird mit 13.25 mag angegeben. Im Bild hat der Schweif des Kometen eine scheinbare Länge von nur 3.5 Bogenminuten, was einer projizierten Ausdehnung von etwa 90000 km entspricht. Aufgrund der Nähe des Kometen zur Erde ist seine scheinbare Bewegung am Himmel recht schnell und beträgt 6.5 Bogenminuten pro Stunde. Die ersten beiden Bilder zeigen den Kometen in Farbe und in Graustufen, das dritte Bild gibt eine mit Weißabgleich bearbeitete und farbverstärkte Variante wieder. Hier erscheint die Coma des Kometen grünlich und deutet auf eine C2-Emission hin, die charakteristisch für kohlenstoffhaltige Gase und/oder organische Verbindungen ist. Das stark kontrastverstärktes negative Grauwertbild zeigt die volle Ausdehnung des Schweifs, ebenso das nicht invertierte kontrastverstärkte Falschfarben-Grauwertbild.